Eladó villa - Bicske

Panorámás!
Panorámás
KAPCSOLAT
Babai Márta


+36 30 434

babaimarti@

Az időpont kérés naptár ikonja
IDŐPONTOT KÉREK
A visszahívás kérés telefon ikonja egy azt körbe ölelő nyíllal
VISSZAHÍVÁST KÉREK
Ajánlom egy ismerősömnek ikon
AJÁNLOM EGY ISMERŐSÖMNEK
Facebook megosztás ikon
MEGOSZTÁS

KAPCSOLATFELVÉTEL

Küldés

Az üzenetet sikeresen elküldtük!
Hiba történt!
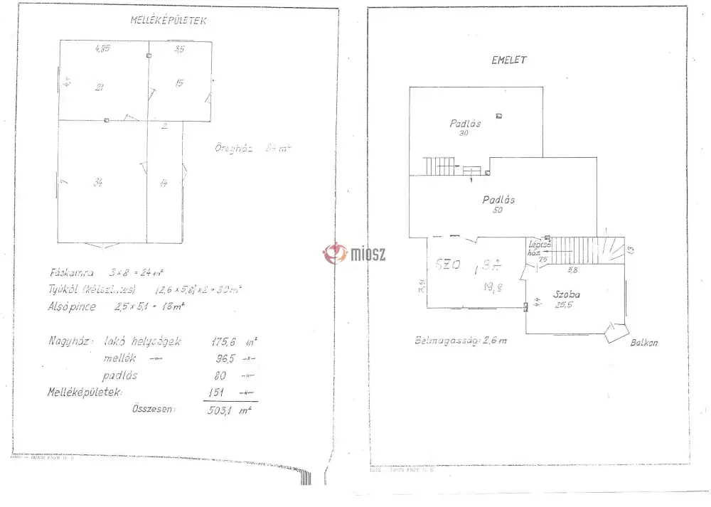
INGATLAN ADATAI

Ingatlan jellege

villa

Belső terület

300 m²

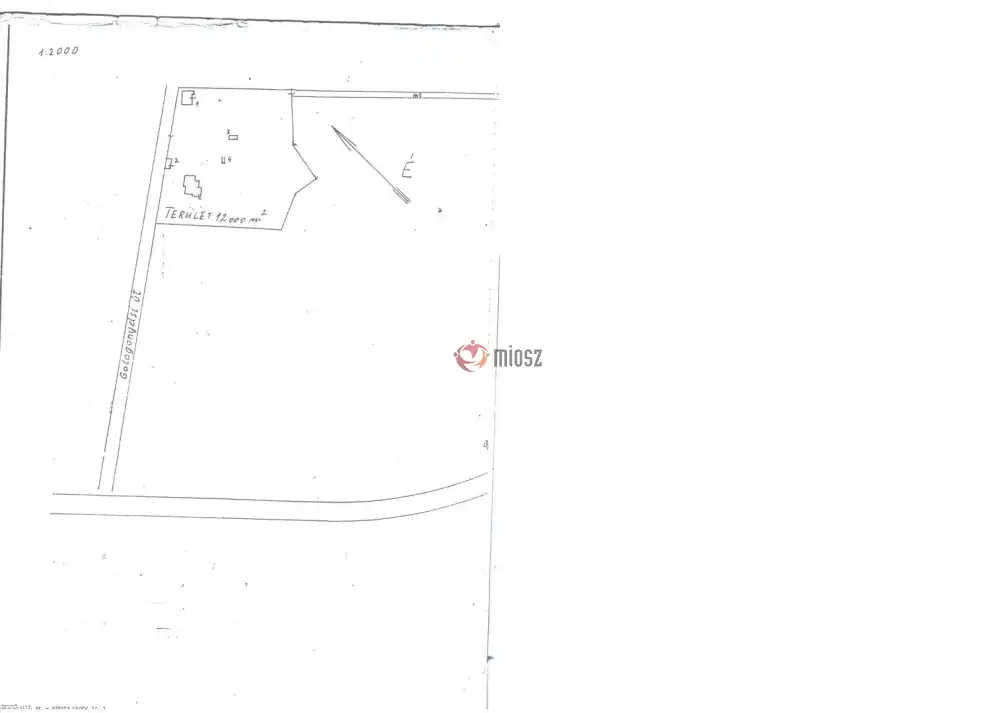
Telek terület

12000 m²

Tájolás

délkelet

Építési állapot

használt

Építési mód

tégla

Szobák száma

6 szoba

Épület szintje

2.

Épült

1900

Ingatlan állapot

kívül: átlagos
belül: felújítandó

Fűtés

cserépkályha

Komfort

komfort

Parkolás

van, nem meghatározott

Közműállapot

csatorna:
gáz: nincs
villany: bekötve
víz: bekötve

Energetika

nincs megadva

Az időpont kérés naptár ikonja
HTML
Az időpont kérés naptár ikonja
PDF
Eladó villa
Ingatlan azonosító:
44_bbm

Fejér megye, Bicske, (Galagonyás), Galagonyás dűlő

Irányár

250 M Ft
(833.33 E Ft/㎡)

Szobák

6 szoba

Terület

300 m²

Telek terület

12000 m²
INGATLAN LEÍRÁSA
Eladó történelmi villa Bicske szívében – A legendás Pajer-villa a Galagonyás-dűlőben

Álmodott már arról, hogy egy múlt század eleji, nem mindennapi hangulatú birtokon éljen?
Most itt a páratlan lehetőség! Bicske egyik legkülönlegesebb és történelmi jelentőségű ingatlana, az 1900-ban épült Pajer-villa, új tulajdonosát keresi.

- Elhelyezkedés: Bicske, Galagonyás-dűlő
- Telekméret: 1,2 hektár (12.000 m²)
- Lakóépület alapterülete: kb. 300 m²
- Szobák száma: 6
- Fűtés: hangulatos, hagyományos cserépkályhákkal
A villa nem csupán egy otthon, hanem egy életérzés – különleges építészeti stílusa és a környező botanikai növényritkaságokkal teli parkosított kert valódi időutazásra hív. A 1,2 hektáros birtok természetközeli életmódot biztosít, miközben Bicske közelsége miatt a mindennapi infrastruktúra is könnyedén elérhető.

Az ingatlan eredeti állapotát nagy részben megőrizte, így modernizálásra és felújításra szorul, ami egyedülálló lehetőséget nyújt az új tulajdonos számára, hogy saját elképzelései szerint alakítsa ezt a különleges épületet. A villa karaktere, arányai és elhelyezkedése ideális alapot nyújt egy értéknövelő beruházáshoz.

Az ingatlan kiválóan alkalmas:
- Magánrezidenciának, nyugodt, elvonulós életre vágyóknak
- Kulturális vagy turisztikai célú hasznosításra
- Különleges rendezvényhelyszínként (esküvő, filmes helyszín, boutique hotel)

Az épület megőrizte eredeti karakterét, a patinás cserépkályhák nemcsak fűtési megoldásként, de esztétikai elemekként is a villa szerves részét képezik.

Ne hagyja ki ezt az egyedülálló lehetőséget, ha egy igazán különleges, történelmi értékű ingatlant keres!

További információért és megtekintésért keressen bizalommal!


INGATLAN ADATAI

Ingatlan jellege
villa
Belső terület
300 m²
Telek terület
12000 m²
Tájolás
délkelet
Építési állapot
használt
Építési mód
tégla
Szobák száma
6 szoba
Épület szintje
2.
Épült
1900
Ingatlan állapot
kívül: átlagos
belül: felújítandó
Fűtés
cserépkályha
Komfort
komfort
Parkolás
van, nem meghatározott
Közműállapot
csatorna:
gáz: nincs
villany: bekötve
víz: bekötve
Energetika
nincs megadva
TÉRKÉP

Fejér megye, Bicske, Galagonyás dűlő

Hitelkalkulátor


KAPCSOLAT
Babai Márta
Babai Márta


+36 30 434 3601

babaimarti@gmail.com

KAPCSOLAT
Babai Márta

+36 30 434

babaimarti@

Az időpont kérés naptár ikonja
IDŐPONTOT KÉREK
A visszahívás kérés telefon ikonja egy azt körbe ölelő nyíllal
VISSZAHÍVÁST KÉREK
Ajánlom egy ismerősömnek ikon
AJÁNLOM EGY ISMERŐSÖMNEK
Facebook megosztás ikon
MEGOSZTÁS

KAPCSOLATFELVÉTEL

Küldés

Az üzenetet sikeresen elküldtük!
Hiba történt!
INGATLAN ADATAI

Ingatlan jellege

villa

Belső terület

300 m²

Telek terület

12000 m²

Tájolás

délkelet

Építési állapot

használt

Építési mód

tégla

Szobák száma

6 szoba

Épület szintje

2.

Épült

1900

Ingatlan állapot

kívül: átlagos
belül: felújítandó

Fűtés

cserépkályha

Komfort

komfort

Parkolás

van, nem meghatározott

Közműállapot

csatorna:
gáz: nincs
villany: bekötve
víz: bekötve

Energetika

nincs megadva

Az időpont kérés naptár ikonja
HTML
Az időpont kérés naptár ikonja
PDF

Hasonló ingatlan hírdetések

Eladó családi ház, vagy kertes ház hirdetést keres Bicske területén?
Tekintse meg további ajánlatainkat!

eladó családi ház, Bicske

eladó családi ház

Fejér megye, Bicske, (Telep), Táncsics Mihály utca
Két lakrész egy tető alatt – meseerdő hangulat Bicske telepi részén. Van az a hely, ahová belépsz, és azonnal megérzed: itt jó lenni. Ez az ingatlan pontosan ilyen: egy zölddel körülölelt, nyugodt ...
Belső terület
114 m²
Telek terület
977 m²
Szobák
3

68 M Ft

eladó családi ház, Bicske

eladó családi ház

Fejér megye, Bicske, (Galagonyás), Galagonyás 2 düllő
Van az a hely, ahol már az első pillanatban érzed: itt jó élni. Ez a Galagonyás 2. dűlőben található ingatlan pontosan ezt az érzést adja. Az épület egy 80 m²-es, tégla építésű ház, amely egy 900 m...
Belső terület
80 m²
Telek terület
900 m²
Szobák
2

58 M Ft

eladó családi ház, Bicske

eladó családi ház

Fejér megye, Bicske, (Kertváros), Magyar Sándor utca
Bicske kertvárosi részén – otthon, ami lehetőséget ad, nem korlátokat. Bicskén, csendes, kertvárosi utcában, minimális autóforgalom mellett eladó egy kb. 110 m²-es családi ház, amely nem csupán egy...
Belső terület
110 m²
Telek terület
727 m²
Szobák
4

68 M Ft

eladó családi ház, Bicske

eladó családi ház

Fejér megye, Bicske, (Belváros), Bem utca
35 millió forintért lehet még Bicskén belterületen eladó házat találni? A válaszom: Igen! Lakás helyett inkább egy saját kis házat szeretnél? De a hatalmas kerttel sem akarsz bajlódni? Akkor ...
Belső terület
30 m²
Telek terület
138 m²
Szobák
1

35 M Ft

eladó családi ház, Bicske

eladó családi ház

Fejér megye, Bicske, (Kertváros), Rozgonyi utca
Eladó kétszintes családi ház Bicske Kertvárosában – vállalkozásra is kiváló lehetőség! Bicske kedvelt, nyugodt Kertváros részén kínálunk megvételre egy 90 m²-es, kétszintes családi házat, 521 m²-es...
Belső terület
90 m²
Telek terület
521 m²
Szobák
2+2

78.5 M Ft

eladó nyaraló, Bicske

eladó nyaraló

Fejér megye, Bicske, (Galagonyás), Galagonyás 3
Bicske–Galagonyás | Panorámás kis ház nagy telekkel – ahol a nyugalom az otthonod! Ha eleged van a városi zajból, és egy csendes, zöld környezetre vágysz, ahol madárcsicsergésre ébredhetsz, akkor ...
Belső terület
35 m²
Telek terület
1338 m²
Szobák
2

22.5 M Ft

eladó családi ház, Bicske

eladó családi ház

Minden háznak van lelke!

Fejér megye, Bicske, (Belváros), Kossuth Lajos út
Bicskén, a központtól mindössze 150 méterre eladó egy 210 m²-es, két különálló lakrészes családi ház, 771 m²-es telken. Az épület beton alapra, tégla falazattal, fa födémekkel és cseréptetővel épült ...
Belső terület
210 m²
Telek terület
771 m²
Szobák
4+3

99 M Ft

eladó családi ház, Bicske

eladó családi ház

Fejér megye, Bicske, Belváros
Egy igazi lehetőség kétgenerációs családok számára. Eladásra kínálunk egy 210 m²-es, kétszintes családi házat, amely egy 417 m²-es telken helyezkedik el, csendes, barátságos környezetben. Az in...
Belső terület
210 m²
Telek terület
417 m²
Szobák
6

87.9 M Ft

Fejér megye - Bicske
Fejér megye - Bicske
Fejér megye - Bicske
Fejér megye - Bicske
Fejér megye - Bicske
Fejér megye - Bicske
Fejér megye - Bicske
Fejér megye - Bicske
Fejér megye - Bicske
Fejér megye - Bicske
Fejér megye - Bicske
Fejér megye - Bicske
Fejér megye - Bicske
Fejér megye - Bicske
Fejér megye - Bicske
Fejér megye - Bicske
Fejér megye - Bicske